Property Description
Great opportunity for a commercial business. This is located, right on Englewood Road with heavy traffic and exceptional visibility, easy access to this property. (Parcel #13909000202401)
The business opportunities for this property are endless! Give us your best offer, seller is willing to negotiate!
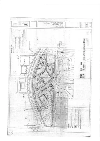
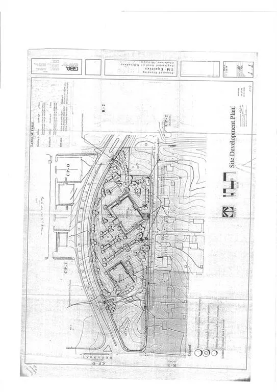
~This property already has the building site development/design plans ready for you to build your dream building if you like~ Listing agent is related to seller. (Parcel #13909000202401)
Features
- Utilities:
- Electricity Available, Natural Gas Available
- Sewer:
- Public Sewer
Address Map
- Zipcode:
- 64118
- Street:
- Englewood
- Street Suffix:
- Road
- Longitude:
- W95° 25' 40.9''
- Latitude:
- N39° 13' 17.3''
- Street Dir Prefix:
- NW
- Zoning:
- Comm.
- Directions:
- 169 hwy to Englewood Rd exit toward Gladstone, turn left, land is next door to Mazuma Credit Union.
- Mls Area Major:
- 103 - N=Barry Rd;S=Vivion/I-35;E=I-35;W=Clay Co Ln
Neighborhood
- High School District:
- North Kansas City
MLS Addon
- Office Name:
- Keller Williams KC North
- Agent Name:
- Kristen Naghshineh
- Tax Annual Amount:
- $0
- Association Fee:
- $0
Additional Information
- Water Source:
- City/Public - Verify
- Possible Use:
- Commercial,Other
Listing Information
- List Agent Mls Id:
- KRISTEN
- List Office Mls Id:
- KW03
- Listing Term:
- Cash,Conventional,FHA,VA Loan
- Mls Status:
- Active
- Modification Timestamp:
- 2025-07-29T04:53:10Z
- Originating System Name:
- HMLS
Community: Other, Land For Sale
, Gladstone, Clay County, Missouri 64118, USA
$475,000
Listing ID #2062357
Basic Details
- Property Type :
- Land
- Listing Type :
- For Sale
- Listing ID :
- 2062357
- Price :
- $475,000
- Status :
- Active
- Property Sub Type :
- Unimproved Land
