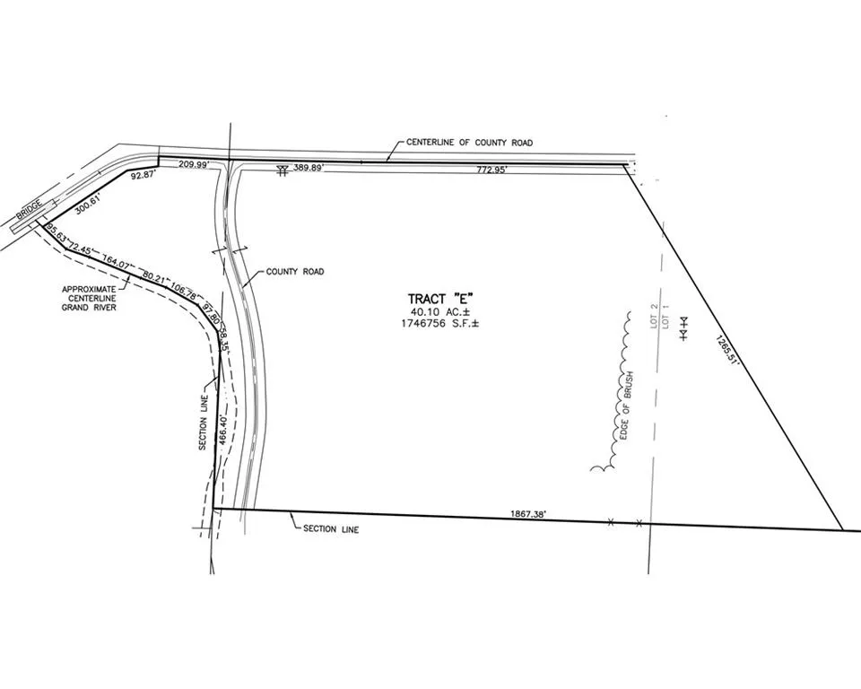
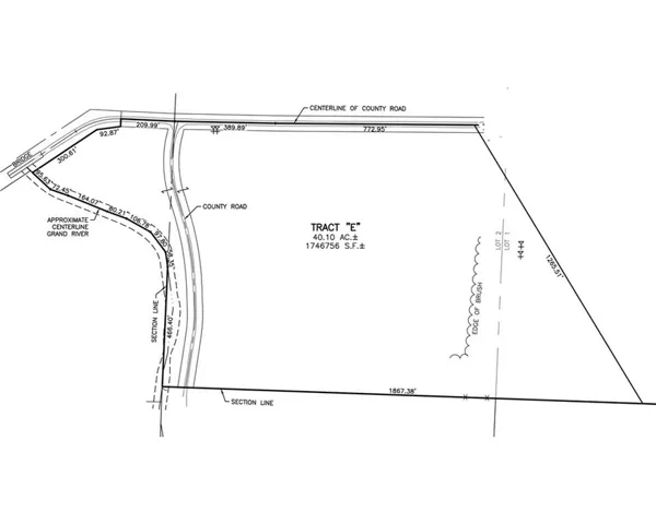
Hello hunters – we’ve got a dream spot for you!!!! Have you been looking for 40+ac with a scenic view and access to great hunting to build your dream home??? We’ve got land set-up perfectly for hunting; with the views, low traffic, quiet neighborhood, hard surfaced roads, that’s outside of city limits you’ve been looking for. Borders the S. Grand River with woods on 2 sides and sits across from row crop ground. Country feel while being less than 40mi from downtown Kansas City. Easy highway access. Plenty of amenities within a 15-20 minute drive: shopping, hospitals, etc. 3 lots to choose from: available individually or combined. Make an appointment to come out and take a look today! This particular lot is Lot E. No restrictions other than no manufactured homes. MLS 2376692 $400,000.00
Sellers will not split into a smaller lot. Please make an appointment to view property. Preapproval or proof of funds MUST be provided in order for a showing to be approved. Do NOT drive/park/walk property without an approved appointment. Home on Lot C is not owned by sellers. Land is being farmed and approved hunters are on/off the property. The Sheriff’s Department will likely be called on trespassers. Taxes and lot size are estimates only. Restricted to stick built homes: no mobile/manufactured homes. Pre-Approved or Cash buyers only. Owners will not owner finance sale. See MLS for the all lots (2376398,2376682,2376686,2376692). Part of lots D & E are in the flood plain. Listing agent is one of the owners. S. Rodier Rd crosses into the property – it is not a through road. The county maintains a little over 1K foot of road from 269th to the pump station.
- Fence:
- None
- Sewer:
- None
- Zipcode:
- 64746
- Street:
- 269th
- Street Number:
- TBD Lot E
- Street Suffix:
- Street
- Longitude:
- W95° 29' 41.2''
- Latitude:
- N38° 37' 6''
- Street Dir Prefix:
- E
- Zoning:
- Ag
- Directions:
- C Hwy South to 267th St. West (right) to S. Rodier Road South (left) on E. 269th St. (Lot E is on the south side of the 269th. If you've hit the bridge you've gone too far.)
- Mls Area Major:
- 208 - Cass County, Mo
- High School District:
- Cass-Midway
- Office Name:
- O Shaughnessy & Diamond RE
- Agent Name:
- Anna Diamond Coble
- Tax Annual Amount:
- $0
- Association Fee:
- $0
- Video Url:
- https://view.paradym.com/v/TBD-E-267th S-Rodier E-259th-Freeman-MO-64746/4719756/sk/300
- Virtual Tour:
- https://idx.paradym.com/idx3/4719756/
- Water Source:
- Rural - Verify
- Current Use:
- Other, Agricultural
- Lot Features:
- Acreage, Estate Lot
- Lot Size Dimensions:
- Survey Pending
- Possible Use:
- Agricultural,Other
- Association Fee Frequency:
- None
- List Agent Mls Id:
- DIACOBLE
- List Office Mls Id:
- OLEE
- Listing Term:
- Cash,Conventional,FmHA,USDA Loan
- Mls Status:
- Active
- Modification Timestamp:
- 2025-04-21T21:24:10Z
- Originating System Name:
- HMLS
Community: Other, Land For Sale
, Freeman, Cass County, Missouri 64746, USA
- Property Type :
- Land
- Listing Type :
- For Sale
- Listing ID :
- 2376692
- Price :
- $400,000
- Status :
- Active
- Property Sub Type :
- Unimproved Land






